Sportliche Norikerstute - Benita
2731730
Seitenaufrufe: 1719
Eingestellt am:
03-08-2025 08:24
USD 7.117,74
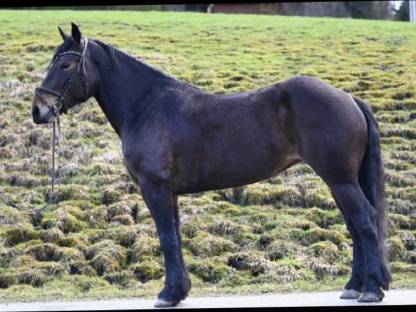
Geboren: 2017, 8 Jahre, Farbe: Kastanienbraun, Stockmaß: 1,64 m (Maße aus der Stutbuchaufnahme von 2020), Vater: Veit Vulkan XVII, Mutter: Kampfer-Bella, Einsatzbereich: Freizeit, Dressur – auch für die Zucht geeignet. Benita ist eine ausdrucksstarke, sportlich gebaute Norikerstute mit charmantem Charakter. Sie wurde 2022 angeritten und zeigt Talent in der Dressur sowie im Freizeitbereich. Benita zeigt sich verlade- und schmiedefromm, was den Umgang mit ihr angenehm gestaltet. Dennoch benötigt sie eine klare, konsequente und erfahrene Führung. Sie ist kein Anfängerpferd, doch bei liebevoller und fachkundiger Anleitung arbeitet sie aufmerksam, leistungsbereit und lernwillig mit.
Original anzeigen
Registered since: 02-10-2017 18:12
Kontaktdaten: Max Reschreiter
Stocker 5
5441 / Abtenau
Salzburg
Kontaktdaten: Max Reschreiter
Stocker 5
5441 / Abtenau
Salzburg
Sende dem Verkäufer eine Nachricht
Norikerstutfohlen
Sehr menschenbezogen, großrahmiges Rappstutfohlen nach Tajfun Vulkan XVIII such...
Jetzt in der Kategorie Pferdemarkt Noriker kostenlos inserieren
